207 Spring Road
Searcy, AR

$348,900
- Land
Active
MLS # 26016577
Listing courtesy of LIZ HOWELL from HOWELL REALTY PROS.
Data last updated Friday, April 24th, 2026.
About
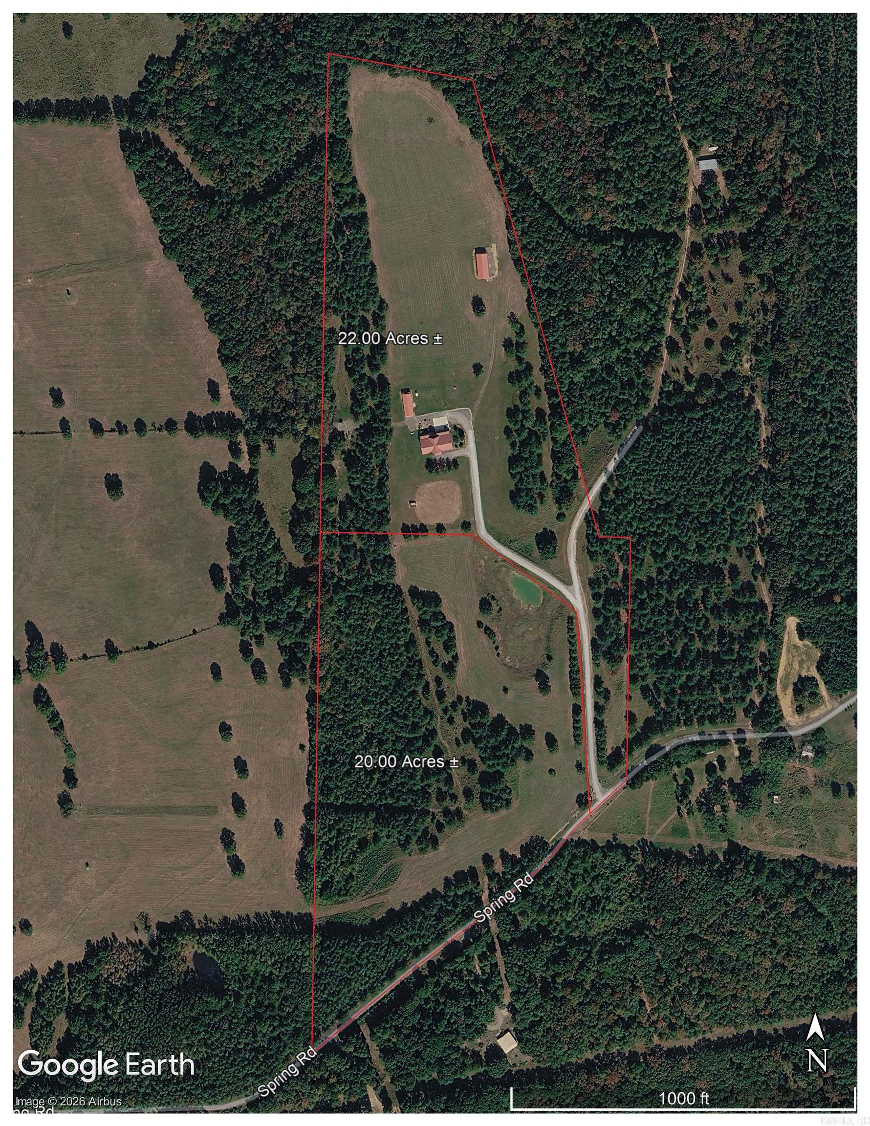
Private 20-Acre Country Retreat -20 Minutes from Searcy, Pond, Fenced Pastures, Utilities, Bardominiums Welcome! Discover 20 secluded areas just 20 minutes from Searcy-- the perfect place to build a family compound or enjoy a ready-made country lifestyle. This premium property offers beautiful trees, abundant wildlife, a private pond, and fenced pastures with the manicured feel of a golf course setting. Utilities are available on the property. Livestock-friendly-- bring horses, cows, chickens, start a garden or build a bardominum (no mobile homes). A natural gas pipeline crosses a small portion of the land. An additional two-acre parcel which has a well is also available for purchase with cooperation for an easement to the back of the property. There are other opportunities to purchase 205 Spring Road as well. When you see the potential of the land and make your appointment to see the lodge with your preapproval letter of credit, you will see what paradise look like on earth. Take a look at this video: https://www.youtube.com/watch?v=ukvA_JigVSo https://carmls.paragonrels.com/ParagonLS/Default.mvc#1,1

©2026 Cooperative Arkansas REALTORS® Multiple Listing Services, Inc. All rights reserved. The data relating to real estate for sale on this site comes in part from the Broker ReciprocitySM Program of CARMLS, Inc. Real estate listings, held by brokerage firms other than Halsey Real Estate, are marked with the Broker ReciprocitySM logo and includes the name of the listing brokers. Broker ReciprocitySM information is provided exclusively for consumers' personal, non-commercial use and may not be used for any purpose other than to identify prospective properties for consumers. Use of search facilities of data on this site, for any purpose other than by a consumer inquiring to purchase, is prohibited. Information Deemed Reliable But Not Guaranteed. The broker operating this site believes the data here to be correct but advises interested parties to confirm prior to purchase.

Back to Top
Accessibility