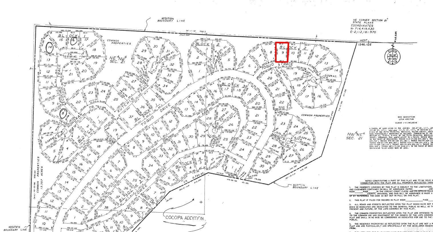
Lot 9 Toquo Trace
Cherokee Village, AR

$990
- Land
0.25 acres
Active
MLS # 25046566
Listing courtesy of JOHN VICK from EXP REALTY.
Data last updated Sunday, December 7th, 2025.
About
Buy one lot and get 50% off an additional lot! Owner-finance for easy terms. Nice lot to develop or hold for future value. Public water and electric are available to run to property and will need septic. Owner/agent. No mobiles allowed. Finance is $100 down and $99 a month for 10 months. Quit claim deed conveys. Closing costs are included. No limit on lots. Bulk land sales specialist with the best land prices in Arkansas. Over 10 years, as a licensed Realtor, selling land. Parcel ID# 200-13742-000

©2025 Cooperative Arkansas REALTORS® Multiple Listing Services, Inc. All rights reserved. The data relating to real estate for sale on this site comes in part from the Broker ReciprocitySM Program of CARMLS, Inc. Real estate listings, held by brokerage firms other than Halsey Real Estate, are marked with the Broker ReciprocitySM logo and includes the name of the listing brokers. Broker ReciprocitySM information is provided exclusively for consumers' personal, non-commercial use and may not be used for any purpose other than to identify prospective properties for consumers. Use of search facilities of data on this site, for any purpose other than by a consumer inquiring to purchase, is prohibited. Information Deemed Reliable But Not Guaranteed. The broker operating this site believes the data here to be correct but advises interested parties to confirm prior to purchase.

Back to Top
Accessibility