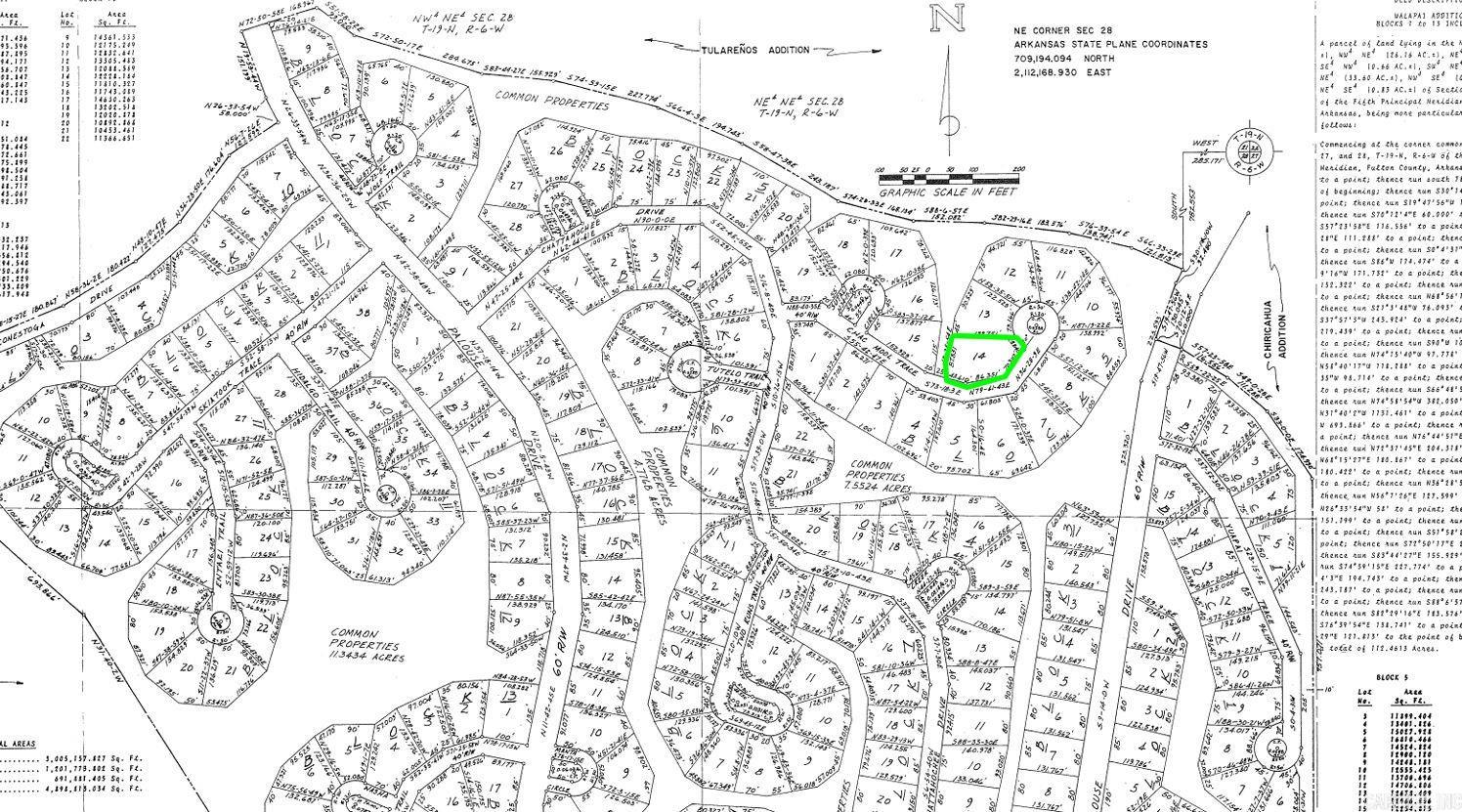
Lot 14 Chac Mool  Cherokee Village, AR
Lot 14 Chac Mool  Cherokee Village, AR
Lot 14 Chac Mool  Cherokee Village, AR
Lot 14 Chac Mool  Cherokee Village, AR
Lot 14 Chac Mool  Cherokee Village, AR

Lot 14 Chac Mool Trace
Cherokee Village, AR

$725
- Land
Active
MLS # 25043088
Listing courtesy of JOHN VICK from EXP REALTY.
Data last updated Monday, December 15th, 2025.
About
Owner-finance for easy terms. Cash buyers can pay by debit or credit card as well. Nice lot to develop or hold for future value. Public water and electric may be available to run to property and will need septic. Owner/agent. No mobiles allowed. 1000 minimum build size on any other type of home, depending on subdivision. Finance is $100 finance fee and 5 months at $145 and closing costs are included. Buyer responsible for any/all taxes and lots sold "as-is". Quit claim deed conveys. Parcel ID# 400-21219-000

©2026 Cooperative Arkansas REALTORS® Multiple Listing Services, Inc. All rights reserved. The data relating to real estate for sale on this site comes in part from the Broker ReciprocitySM Program of CARMLS, Inc. Real estate listings, held by brokerage firms other than Halsey Real Estate, are marked with the Broker ReciprocitySM logo and includes the name of the listing brokers. Broker ReciprocitySM information is provided exclusively for consumers' personal, non-commercial use and may not be used for any purpose other than to identify prospective properties for consumers. Use of search facilities of data on this site, for any purpose other than by a consumer inquiring to purchase, is prohibited. Information Deemed Reliable But Not Guaranteed. The broker operating this site believes the data here to be correct but advises interested parties to confirm prior to purchase.

Back to Top
Accessibility