Lot 14 Palouse  Cherokee Village, AR
Lot 14 Palouse  Cherokee Village, AR
Lot 14 Palouse  Cherokee Village, AR
Lot 14 Palouse  Cherokee Village, AR
Lot 14 Palouse  Cherokee Village, AR
Lot 14 Palouse  Cherokee Village, AR

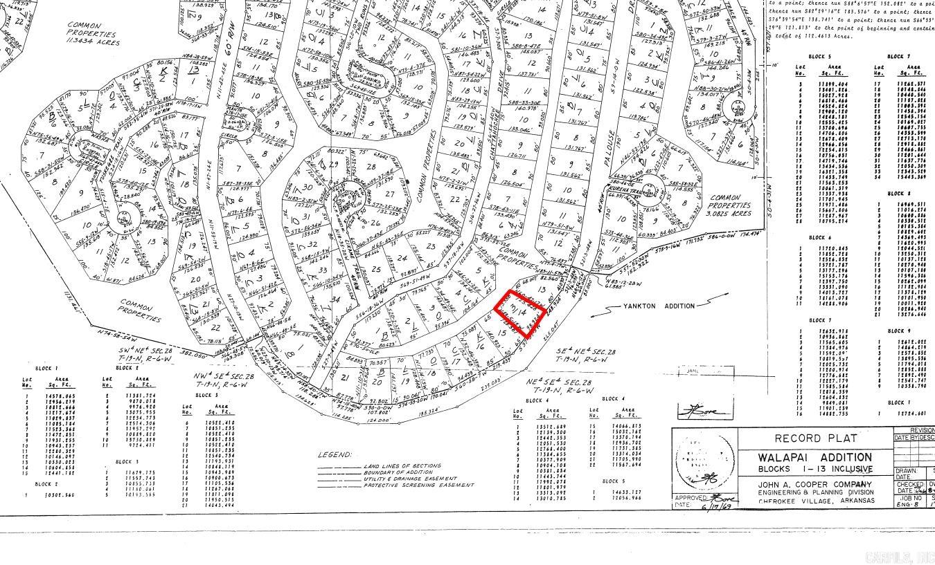
Lot 14 Palouse Drive
Cherokee Village, AR

$990
- Land
0.25 acres
Active
MLS # 25037064
Listing courtesy of JOHN VICK from EXP REALTY.
Data last updated Monday, September 22nd, 2025.
About
Buy one lot and get 50% off an additional lot! Owner-finance for easy terms. Cash buyers can pay by debit or credit card as well. Nice lot to develop or hold for future value. Public water and electric are available to run to property and will need septic. Owner/agent. No mobiles allowed. 1000 minimum build size on any other type of home, depending on subdivision. Finance is $100 down and 10 months at $99 and closing costs are included. Lots marked with red banner are part of promotion. No limit on lots. Buyer responsible for any/all taxes and lots sold "as-is". Quit claim deed conveys. Parcel ID# 400-21176-000

©2025 Cooperative Arkansas REALTORS® Multiple Listing Services, Inc. All rights reserved. The data relating to real estate for sale on this site comes in part from the Broker ReciprocitySM Program of CARMLS, Inc. Real estate listings, held by brokerage firms other than Halsey Real Estate, are marked with the Broker ReciprocitySM logo and includes the name of the listing brokers. Broker ReciprocitySM information is provided exclusively for consumers' personal, non-commercial use and may not be used for any purpose other than to identify prospective properties for consumers. Use of search facilities of data on this site, for any purpose other than by a consumer inquiring to purchase, is prohibited. Information Deemed Reliable But Not Guaranteed. The broker operating this site believes the data here to be correct but advises interested parties to confirm prior to purchase.

Back to Top
Accessibility