79.50 ac. (+/-) Crochet Road
Marshall, AR

$1,150,000
- Land
79.5 acres
Active
MLS # 25014479
Listing courtesy of MACKENZIE ORRICK from FERGUSON REALTY GROUP.
Data last updated Tuesday, September 23rd, 2025.
About
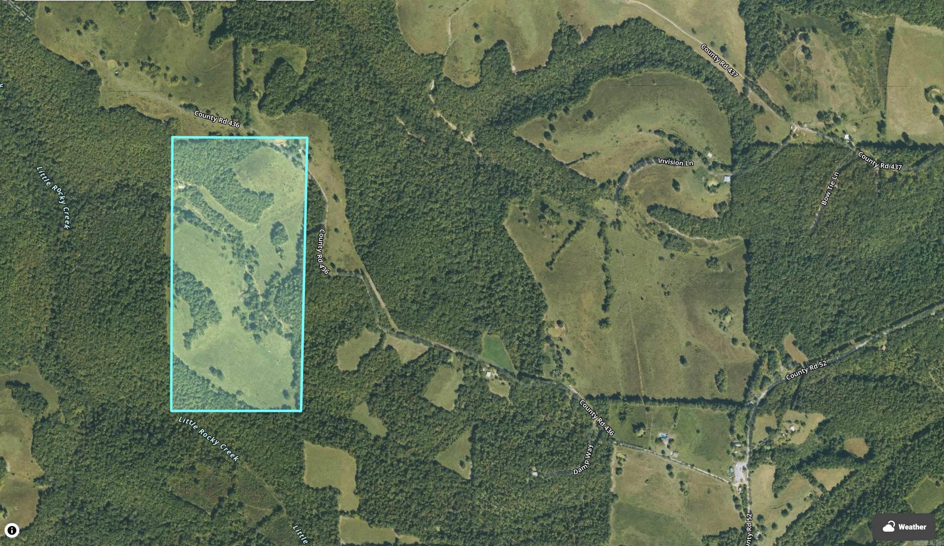
Don’t miss this rare opportunity to own 79.5 +/- beautiful acres in the Ozark Mountains, nestled at the foot of the Boston Mountain range in Searcy County, AR. This property is a perfect mix of pasture and timber, ideal for cattle, livestock, building, or hunting. It’s fully fenced, has electric on-site, and features three year-round springs, a spring-fed stocked pond, and abundant wildlife. The current owner runs cattle, which are present and negotiable with the sale. Whether you're dreaming of a farm, hunting retreat, or private homestead, this land offers incredible natural beauty and versatility. Located just a 3.5 mile drive—and only 0.8 miles as the crow flies—from the Buffalo National River (South Maumee Campground), you’re minutes from some of Arkansas’s best floating, fishing, and hiking. With full mineral rights intact and stunning mountain scenery all around, this is a true Ozark gem. If you're looking for usable land with water, fencing, utilities, and unbeatable proximity to the Buffalo River, this property checks all the boxes!

©2025 Cooperative Arkansas REALTORS® Multiple Listing Services, Inc. All rights reserved. The data relating to real estate for sale on this site comes in part from the Broker ReciprocitySM Program of CARMLS, Inc. Real estate listings, held by brokerage firms other than Halsey Real Estate, are marked with the Broker ReciprocitySM logo and includes the name of the listing brokers. Broker ReciprocitySM information is provided exclusively for consumers' personal, non-commercial use and may not be used for any purpose other than to identify prospective properties for consumers. Use of search facilities of data on this site, for any purpose other than by a consumer inquiring to purchase, is prohibited. Information Deemed Reliable But Not Guaranteed. The broker operating this site believes the data here to be correct but advises interested parties to confirm prior to purchase.

Back to Top
Accessibility